More than 20 people have died in Haiti in flooding caused by Hurricane Melissa, which made landfall on Tuesday as a category five storm in Jamaica.
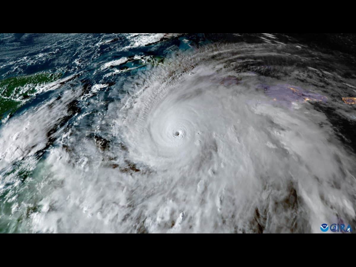
Melissa hit Jamaica as one of the strongest Atlantic hurricanes on record, destroying infrastructure and leaving many people without power while others were stranded on roofs. Local government minister Desmond McKenzie warned citizens that recovery “is not going to be an easy road,” BBC reported.
At least 25 people have died in Petit-Goâve, Haiti, after a river flooded by Melissa burst its banks, according to CNN. Three people were earlier killed in Haiti but Jamaican officials have not recorded any deaths.
Jamaica’s prime minister Andrew Holness assured affected communities of government’s support.
“We know many of you are hurting, uncertain, and anxious after Hurricane Melissa, but please know that you are not alone.”
He said that “recovery will take time, but the Government is fully mobilized.”
“Relief supplies are being prepared, and we are doing everything possible to restore normalcy quickly.”
From Jamaica, the storm headed north to Cuba, “bringing with it 115mph winds and heavy rain, and warnings of life-threatening storm surges,” BBC reported. There was a rise in river levels, and this cut off access to around 140,000 people, CNN said.
As of the time of putting together this report, Melissa was moving north-east towards The Bahamas and Bermuda.
There was also a tropical storm warning for the Turks and Caicos Islands, among others. Melissa was travelling at a speed of 15mph (24km/h) and officials expected it to accelerate in the coming days.
The US State Department said it was deploying a “regional disaster response team” and has “activated US-based Urban Search and Rescue teams” across Caribbean countries. The United Kingdom also announced on Wednesday that it was sending £2.5 million ($3.3 million) in emergency humanitarian funding.
When Melissa made landfall Tuesday in Jamaica, it was the strongest to hit the island since record-keeping started 174 years ago, according to an Associated Press report.
Scientists Phil Klotzbach of Colorado State University and Brian McNoldy of the University of Miami said “Melissa’s 185 mph (295 kph) winds and 892 millibars of central pressure tied two records for the strongest Atlantic storm on landfall. The pressure — the key measurement meteorologists use — tied 1935’s Labor Day hurricane in Florida, while wind speed tied a 1935 hurricane and 2019’s Hurricane Dor,” the report added.


