
Help us create more content like this
Already a member? Sign in.
Sign up to our newsletter to get the latest updates and events from the leading Afro-Diaspora publisher straight to your inbox.
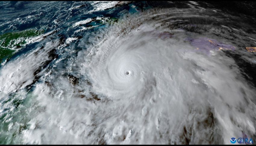
More than 20 people have died in Haiti in flooding caused by Hurricane Melissa, which made landfall on Tuesday as a category five storm in Jamaica. Melissa hit Jamaica as one of the strongest Atlantic hurricanes on record, destroying infrastructure and leaving many people without power while others were stranded on roofs. Local government minister…

Already a member? Sign in.

Already a member? Sign in.
Sign up to our newsletter to get the latest updates and events from the leading Afro-Diaspora publisher straight to your inbox, plus our curated weekly brief with top stories across our platforms.
No, Thank You